Beschreibung
Fläche 2000 m²
Moderne Lagerhalle, Baujahr 2004
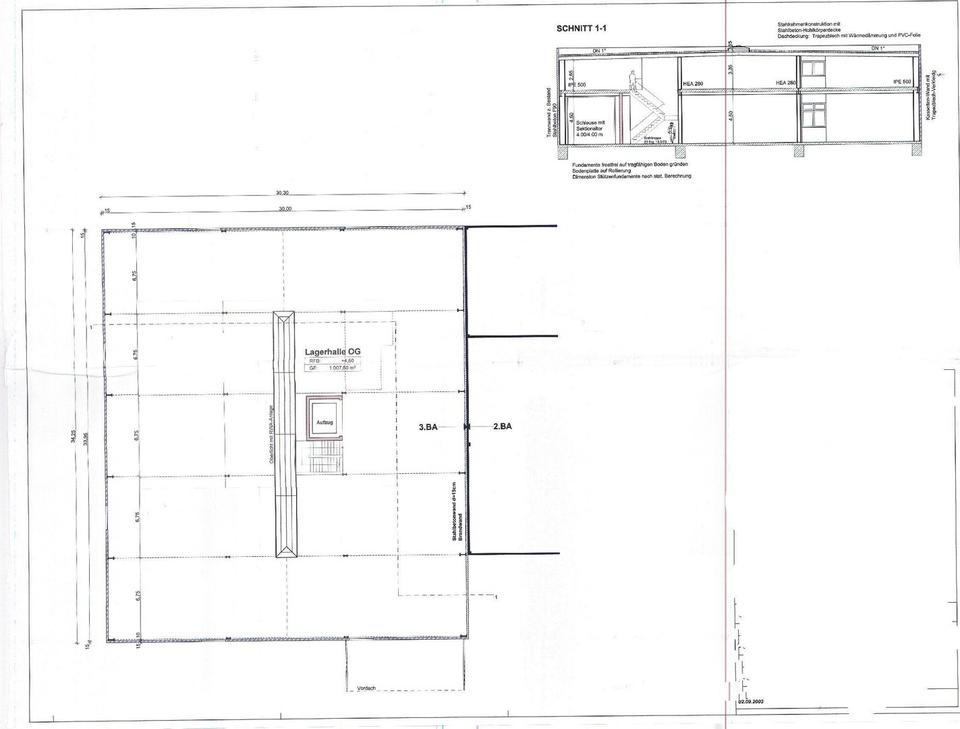
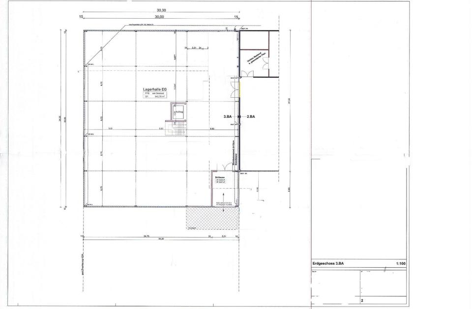
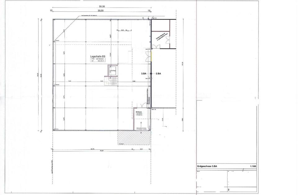
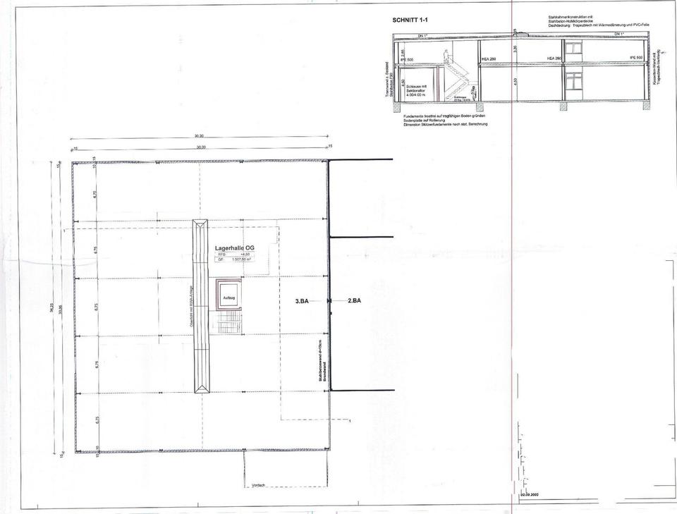
2- geschossig mit je ca. 1000 m². Raumhöhe EG min. 4,00m, OG min. 2,75m. Lastenaufzug mit 3 t vorhanden. Sehr gute Beleuchtung, mit Fenstern, im OG grosse Lichtkuppel im Dach.
Mit LKW anfahrbar, 1 elektr. Rolltor mit nach innen gebauter Schleuse mit Schnell-Lauftor.
Große geteerte Freifläche sowie freie Rasenfläche vor der Halle.
Objektart: Lagerhalle/Produktionshalle
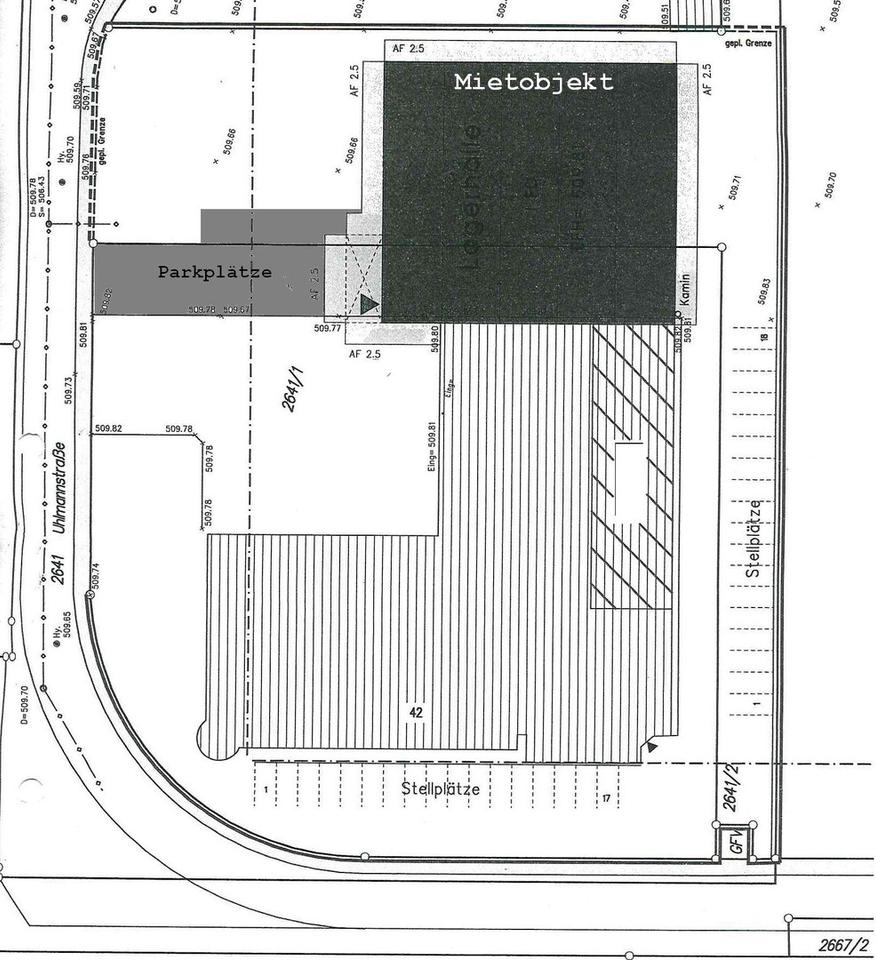
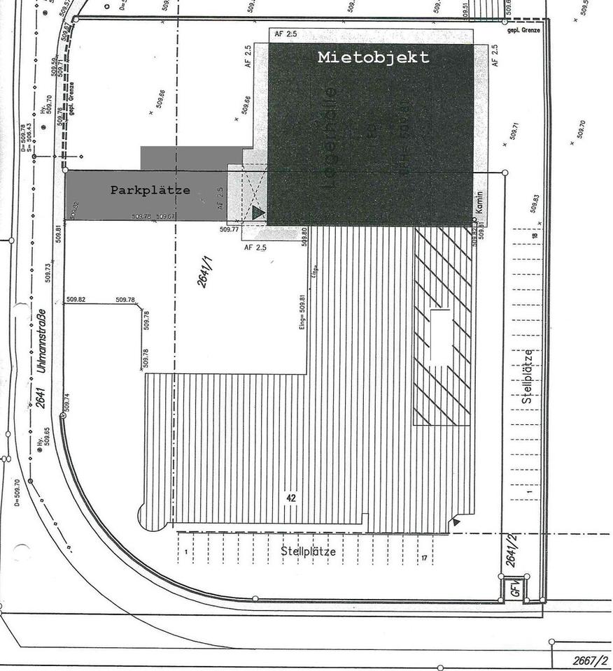
Objektort: Uhlmannstraße 42, 88471 Laupheim
Lage: in einem am Stadtrand liegenden Gewerbegebiet mit hervorragender Anbindung an die Bundesstraße 30
Baujahr: 2004
Nutzfläche Lagerhalle: 1.989,55 m²
Etage: Erdgeschoss & Obergeschoss mit Aufzug
Qualität der Ausstattung: gepflegte und gut erhaltene Ausstattung
Anzahl Stellplätze: 7 Kfz-Außenstellplätze
Bauweise: Stahlskelettbauweise
Heizungsart: Gas-Zentralheizung
Energiekennwert V-Wärme: 16,70 kWh/(m²*a), A+
V-Strom: 14,60 kWh/(m²*a), A+
Fenster: Aluminium-Isolierglas-Fenster 2-fach verglast
Dachform: Flachdach
Verfügbarkeit bezugsfrei ab 1. Mai 2026
# Ausstattung
Fahrstuhl, Sonstiges (s. Text)
Bemerkungen:
Die angebotene Gewerbeimmobilie wurde im Jahr 2004 in Stahlskelettbauweise erbaut, und befindet sich in einem sehr guten, gepflegten Zustand. Die angebotene Halle verfügt über zwei Geschosse mit knapp 2.000 m² Lager- und Produktionsfläche. Das Erdgeschoss hat eine Raumhöhe von über 4 Metern.
Die Halle verfügt über ein 4 Meter hohes und 3 Meter breites Rolltor, mit nach innen gebauter Schleuse mit Schnell-Lauftor. So verfügen sie über eine gute und barrierefreie Andienung. Mit dem Lastenaufzug, der über eine Tragkraft von 3 Tonnen verfügt, können sie problemlos ihre Waren in das rund 1.000 m² große Obergeschoss transportieren, welches über eine Deckenhöhe von 2,6 Metern verfügt. Im Erdgeschoss der Gewerbehalle integriert ist ein kleines Büro, mit Platz für 2 Arbeitsplätze.
# Weitere Angaben
Verfügbar ab: 01.05.2026
Objektzustand: gepflegt
Lagerfläche: ca. 2000 m²
# Lagebeschreibung
Die angebotene Lagerhalle befindet sich in verkehrsgünstiger Stadtrandlage in einem beliebten Gewerbegebiet von Laupheim. Mit der Bundesstraße 30 haben Sie zusätzlich zum optimalen Standort ideale Anbindungen nach Biberach, Ulm, Ravensburg und den Bodenseekreis, sowie über die Autobahnen A7/A8 ab Ulm auch nach Memmingen, Stuttgart und München.
Infrastruktur (im Umkreis von 5 km):
Apotheke, Lebensmittel-Discount, Allgemeinmediziner, Kindergarten, Grundschule, Hauptschule, Realschule, Gymnasium, Gesamtschule, Öffentliche Verkehrsmittel
# Sonstiges
Heizungsart: Zentralheizung
Energieträger: Gas
ohne-makler (OM) ist weder Anbieter noch Vermittler der Immobilie. OM betreibt eine Plattform für Immobilieneigentümer, die unter anderem die gleichzeitige Veröffentlichung einzelner Inserate auf mehreren Immobilienportalen ermöglicht. Die Inhalte dieser Inserate werden ausschließlich von Dritten verantwortet. Für die Richtigkeit, Vollständigkeit oder Rechtmäßigkeit der Angaben übernimmt OM keine Haftung. Hinweise auf mögliche Rechtsverstöße können jederzeit gemeldet werden und werden nach Prüfung umgehend bearbeitet.
# Energie
Energieausweis: Energiebedarfsausweis
Endenergieverbrauch Strom: 14 kWh/(m²*a)
Endenergieverbrauch Wärme: 16 kWh/(m²*a)
Heizungsart: Zentralheizung
Wesentliche Energieträger: Gas
Anbieter-Objekt-ID: 401265





































